Skip to content
March 14, 2026
Brattleboro Housing Authority
Low income housing supporting independence, creating opportunities.
Primary Menu
Brattleboro Housing Authority
Who We Are
History and Information
Staff Directory
Commissioners
Properties
Melrose Terrace
Historical Property Map Melrose
Hayes Court
Ledgewood Heights
Property Map Ledgewood Hts.
Moore Court
Property Map Moore Ct.
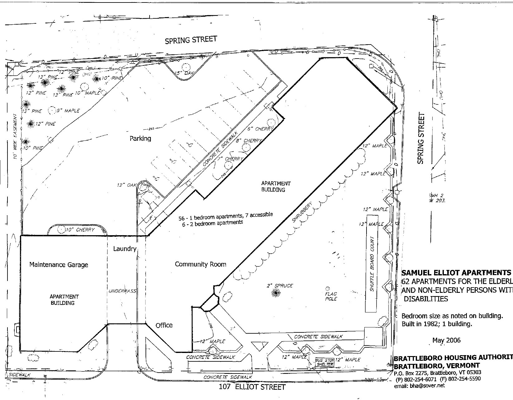
Samuel Elliot Apartments
Property Map SEA
Ann Wilder Richards
Property Map AWR
Red Clover Commons
RCC Site Plan
RCC Central Hall
RCC Activity Room
Red Clover Commons II
Qualifications
Procurement Policy
Current Bids
Section 3
Programs
Subsidized Housing
Section 8-Housing Choice Voucher
Shelter Plus Care
Support & Services at Home (SASH)
SASH For All (SFA)
Learning Employment Academic Program (LEAP)
Resources / Links
Community Service Links
Housing Applications
Resident Forms
Reasonable Accommodation (RA) Forms
ACH (Bank) Withdrawal Form
Change of Income Form
Doing Business with BHP
Purchasing & Solicitations
BHP/Board Meetings
Board of Commissioner Meetings
MTW Meetings
BHOI Board Meetings
Resident Advisory & Communications Committee (RACC)
BHP Careers/Volunteer Opportunities
Search for:
Home
Properties
Property Map SEA
Property Map SEA